Agroklub
Poljoprivredne teme
Novosti i dešavanja
Agro Plus
Foto, video i dokumenta
Poljoprivredna zemljišta
Radna mesta
Mehanizacija
Alati i oruđa
Oprema i delovi
Poljoprivredni proizvodi
Sadni materijal
Usluge i ostalo
Zaštitna sredstva i đubriva
Oprema za farme
Đubriva
Biljne vrste i sorte
Stočarstvo
Tržište
Vremenska prognoza
Agroklub Srbija
Dimitrije Jovanović
@Dimitrije Jovanović
Pošalji privatnu poruku
Dimitrije Jovanović pre 4 godine 113
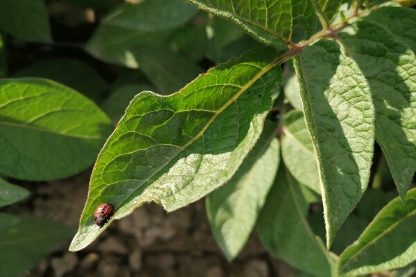
Izvršena je kontrola efikasnosti insekticidnog tretmana protiv krompirove zlatice i uočeno je prisustvo larvi četvrtog stupnja, međutim njihova brojnost za sada ne iziskuje ponovni tretman.