Zadnje aktivnosti

Poslednje aktivnosti korisnika mogu videti samo registrovani korisnici.

Online korisnici

Online korisnike Agrokluba mogu videti samo registrovani korisnici.
Za kompletne funkcionalnosti ovih servisa, prijavi se.

Promo

  • Zlatica na patlidžanu
  • 17.05.2023. 07:30

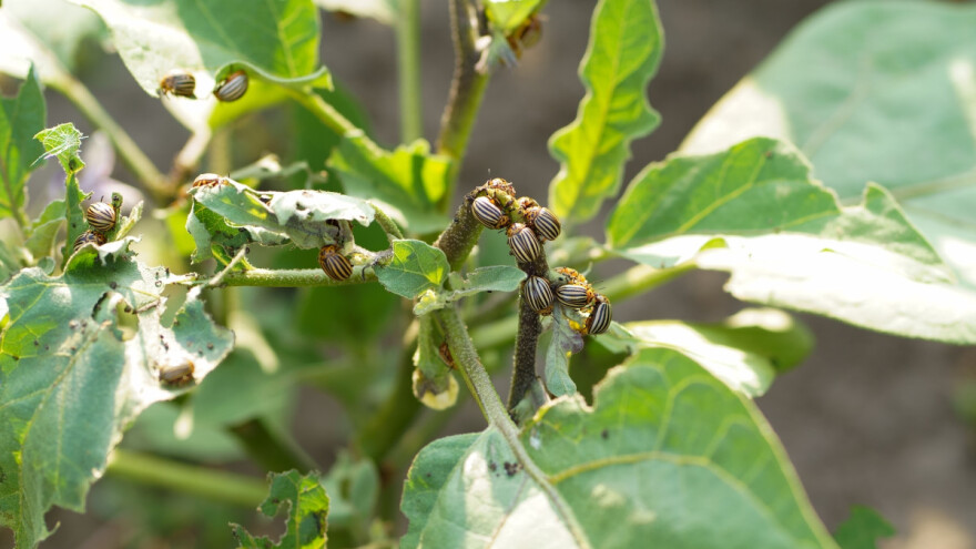
Zlatica krompira na plavom patlidžanu: Oprezno sa upotrebom insekticida - šta raditi?

Krompirove zlatice predstavljaju veliki problem u proizvodnji patlidžana jer se plodovi formiraju na biljci. Šta uraditi kada je napad jak?

Zlatica krompira na plavom patlidžanu: Oprezno sa upotrebom insekticida - šta raditi?
Foto: Depositphotos/aprilphoto
617
44
0

Od zlatice krompira strada i patlidžan. U suzbijanju je potrebno mnogo strpljenja. Na početku vegetacije više se zadržavaju na usevu krompira, ali kako vreme odmiče, biće ih sve više na biljkama plavog patlidžana.

Problem kod suzbijanja je što treba biti veoma obazriv kada je u pitanju upotreba insekticida koje preporučuju za upotrebu u krompiru. Razlog tome je što se plodovi formiraju na biljci i direktno su izloženi negativnom dejstvu insekticida.

Preventivne mere 

Pažljivo odaberite lokaciju za sadnju. Neće im odgovarati gredice i parcele na kojima ste već uzgajali ovu kulturu i srodnike. Na istu parcelu može doći posle tri do četiri godine. Sadite ih što dalje od paradajza i krompira.

Na početku napada možemo ih sakupljati ručno, najbolje ujutro i uveče. Koriste se i klopke sa korama krompira u rastvoru azotnog đubriva. Čaše sa oguljenom korom se postavljaju u nivo zemlje. Insekte sakupljamo svakodnevno, a mamac menjamo po potrebi.

Malčiranja površina predstavlja prepreku za kretanje odraslih zlatica iz zemlje na biljke i obratno. Najbolje se pokazao malč od koprive, jer ih žarne dlačice odbijaju pa izbegavaju ovakve površine.

Biljke se mogu posipati drvenim pepelom, kukuruznim brašnom, gipsom, cementom. To ćemo uraditi ujutro kada su još vlažne od rose ili posle kiše. Prisustvo vode na listovima obezbediće da se prah zalepi što odbija štetočinu. Problem je što ovom metodom trošimo velike količine praškaste materije i postupak se često mora ponavljati.

Zašto je dobar i za šta se sve koristi pepeo?

Možemo saditi biljke koje deluju kao repelenti, jer zlatica ne podnosi njihov miris. Najefikasniji su se pokazali pelin, neven, celer, dragoljub, gorušica.

Šta kada je napad jak?

Međutim, kod jakog napada biće neophodno da primenimo različita sredstva. Jedan uspešan preparat možemo i sami napraviti od listova maslačka, crnog i belog luka. Dovoljno je uzeti po čašu od svake vrste i usitniti ili još bolje samleti. Dobijena masa se preliva sa 10 l vode i ostavi tri sata. Sadržaj se procedi, dodamo do dve kašike sitno narendanog ili tečnog sapuna i preparat je spreman za upotrebu. Deluje protiv i na sve razvojne faze zlatice i protiv grinja i lisnih vaši. Osim toga, efikasni su pripravci od duvana, pelina, belog i crvenog luka.

Rastvor koji pripremamo od odraslih larvi je dobro poznat. Skupimo oko 250 g štetočine koje se preliju sa 10 l vode i ostavi do pet dana kada većina insekata potone na dno. Rastvor se procedi i razblaži vodom u odnosu 1:2. Tretiranje se obavlja jednom u 15 dana.


Povezana biljna vrsta

Patlidžan

Patlidžan

Engleski naziv: Eggplant | Latinski naziv: Solanum melongena L.

Patlidžan se gaji na površinama manjim od onih za paradajz i papriku. U zemljama Afrike i Azije, kao i na Mediteranu ceni se kao korisno povrće i nazivaju ga mesom jer je bogato... Više [+]

Tagovi

Patlidžan Zlatica krompira Štetočina patlidžana Zlatica na patlidžanu Klopka za zlatice Špricanje zlatice Suzbijanje zlatice


Autorka

Ranka Vojnović

Više [+]

Ranka je diplomirani inženjer poljoprivrede sa dugogodišnjim iskustvom u povrtarstvu, zaljubljenik u organsku poljoprivredu i druge oblike alternativne poljoprivrede poput biodinamike i permakulture.

Izdvojeni tekstovi

KLUB

Nisu kolačići -- sapunići su glicerinski, sa blagom bazom i mirisom, a pravi i Maja Tarbuk!