Zadnje aktivnosti

Poslednje aktivnosti korisnika mogu videti samo registrovani korisnici.

Online korisnici

Online korisnike Agrokluba mogu videti samo registrovani korisnici.
Za kompletne funkcionalnosti ovih servisa, prijavi se.

Promo

  • Kruškina buVa
  • 02.05.2019. 08:00

Kruškina buva: Pet generacija godišnje, hemijska zaštita otežana

Treba izbegavati gust sklop sadnje i redovno koristiti insekticide. Ipak, kako ona ima pet generacija godišnje, hemijska zaštita je otežana. Važno je pravovremeno otkriti ovu štetočinu kako bi hemijski tretman bio uspešniji.

Kruškina buva: Pet generacija godišnje, hemijska zaštita otežana
Foto: PIS Srbija
397
32
0

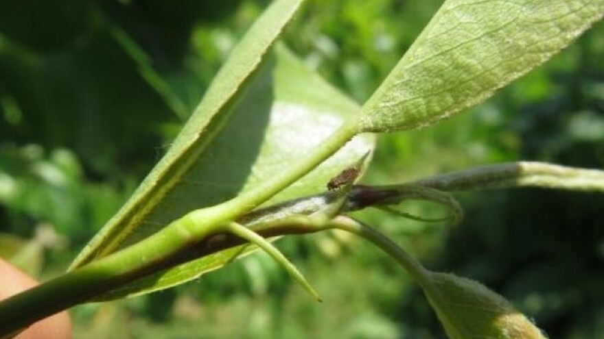
Kruškina buva (Psylla pyri) smatra se najvećom štetočinom kruške. Zaštita od ove štetočine jako je teška budući da ima pet generacija. Ukoliko je godina kišna, a voćnjak bujan, zaštita je gotovo nemoguća. Kruškina buva najčešće se javlja u zasadima gde se kruška uzgaja u niskom uzgojnom obliku.

Veličine je 2,5-3 mm, sa kratkom širokom glavom trouglastog oblika i velikim očima. Boja varira od narandžastosmeđe do smeđecrvene sa crnim pegama. Boja varira i zbog sezonskog dimorfizma pa su prolećni oblici svetliji, a jesenji tamniji. Stražnje noge su razvijene za skakanje i samo odrasli oblici skaču. Krila su u odnosu na ostatak tela vrlo velika. Larve su vrlo sitne, oko 1 mm, pljosnatog oblika. Početkom vegetacije one su žute boje, a kasnije postanu svetlozelene.

Prezimljavanje

Odrasli oblik prezimi na skrovitim mestima u krošnji okolnih pupova ili u pukotinama kore. Početkom proleća, kad temperature porastu iznad pet stepeni Celzijusa, aktiviraju se i počnu sisati sokove na pupoljcima. U predelima sa kontinentalnom klimom, pojavljuju se već u aprilu. Zatim odlažu jaja na pupove, mlado lišće i vrhove izdanaka. Jedna ženka može odložiti oko 300-400 jaja. Posle par nedelja iz jaja izlaze larve i prave kolonije u blizini mesta gde su se izlegle. Tu sišu sokove i ponekad luče mednu rosu. Njihov razvoj traje 25 do 40 dana. Ženke letnje generacije mogu odložiti i do 1.000 jaja.

Manifestacija štete

Direktne štete ovog insekta nastaju zbog sisanja biljnih sokova. Imago siše na pupovima dok larve prva tri stadijuma najčešće sišu na naličju lišća, a larve poslednja dva stadijuma sišu u pazusima listova i na letorastima. Zbog sisanja biljnih sokova na napadnutim organima dolazi do zastoja u razvoju i deformacije napadnutih organa, a kasnije i do sušenja. Posledica je slabljenje stabala i razvoj deformisanih plodova.

Indirektne štete nastaju zbog naseljavanja gljiva čađavica koje onečišćavaju plodove i smanjuju asimilaciju lišća. Zbog gljiva čađavica plodvi izgledaju prljavi i nemaju nikakvu ekonomsku vrednost. Takođe, kruškina buva prenosi fitoplazmoze pa je i to jedna od indirektnih šteta.

Zaštita

Treba izbegavati gust sklop sadnje i redovno koristiti insekticide. Ipak, kako ona ima pet generacija godišnje, hemijska zaštita je otežana. Važno je pravovremeno otkriti ovog štetnog insekta kako bi hemijski tretman bio uspešniji.

Nužan je kasni zimski tretman mineralnim uljem, a već nakon toga i insekticidima iz grupe piretroida jer ova štetočina prezimljava u obliku imaga. Ovaj tretman mora se izvršiti pre aktiviranja insekta.

U vreme vegetacije moramo odraditi nekoliko tretmana. Prvi tretman obavlja se kada se insekt nalazi u stadijumu larve, a to je kad je zasad kruške u fazi belih balona. Tad se koriste sredstva na bazi Cipermetrina.

Tretiranje insekticidima nakon cvetanja, obavlja se preparatima sa dugom karcencom. Ovakvi tretmani ponavljaju se u fazi formiranja plodova.

Visoka učinkovitost postiže se primenom insekticida posle jače kiše koja će isprati mednu rosu sa štetočine.

Ovaj insekt ima i prirodnog neprijatelja, a to je grabežljiva stenica, Anthocoris nemorum, kao i bubamare. One tokom leta napadaju i uništavaju ovu štetočinu kroz njegove tri generacije.

Treba uzgajati i otpornije sorte prema ovom insektu. Najjači napadi su zabeleženi kod sorti Vilijamovka i Konferans.

U zaštiti protiv kruškine buve može se koristiti i kaolinska glina

Kaolin glina u zaštiti voćaka

Kaolin je silikatni aluminijumov mineral koji je pročišćen i smanjen na veličinu čestica u kojoj se jednostavno disperguje u vodi i stvara mineralnu barijeru na biljci kojom se sprečava hranjenje i odlaganje jaja (Glenn i sur., 1999., Puterka i sur., 2000).

Nanosi se kao vodeni rastvor i isparavanjem vode ostaje bela prevlaka na tretiranim delovima biljke odnosno lišću, plodovima i stabljici. Aplikacija mora biti što ujednačenija kako bi svi delovi stabla bili što ravnomernije pokriveni. Sitne čestice gline predstavljaju barijeru koja direktno i indirektno deluje kao repelent na kruškinu buvu. Direktne štete nastaju kada kruškina buva sleti na kaolinsku prevlaku. Čestice kaolinske gline se vežu na telo insekta i deluju iritirajuće i tako otežavaju letenje (Glenn i sur., 1999.).


Tagovi

Kruškina buva Uzgoj kruške Zaštita Kaolinska glina Prirodni neprijatelji


Autor

Bekir Dolić

Više [+]

Bekir je diplomirani inženjer opšte poljoprivrede, radi na terenu BiH, zaljubljenik u voćarstvo i hortikulturu. Posebno ga interesuje autohtona genetika svih biljnih vrsta.

Izdvojeni tekstovi

KLUB

Čuva 200 grla stoke, radi na njivi i popravlja kvarove na mehanizaciji. Vredna, svestrana i uspešna preduzetnica Jovana Petrović iz Deliblata!